Exhibit 10.17.2
SECOND AMENDMENT TO MODIFIED INDUSTRIAL GROSS LEASE
     THIS SECOND AMENDMENT TO MODIFIED INDUSTRIAL GROSS LEASE (this “Second Amendment”) is made as of June 26, 2009, by and between DOOLITTLE WILLIAMS, LLC, a California limited liability company (“Landlord”), and ENERGY RECOVERY, INC., a Delaware corporation (“Tenant”).
RECITALS:
     A. Landlord and Tenant entered into that certain Modified Industrial Gross Lease dated as of November 25, 2008 (the “Original Lease”), relating to certain premises described in the Lease.
     B. Landlord and Tenant subsequently entered into that certain First Amendment to Modified Industrial Gross Lease dated as of May 28, 2009 (the “First Amendment”). The Original Lease as amended by the First Amendment is referred to herein collectively as the “Lease”.
     C. Landlord and Tenant now desire to further amend the Lease to, among other things, add additional space to the leased Premises, all as more fully set forth below.
     D. All capitalized terms used in this Second Amendment shall have the respective meanings given to them in the Lease unless otherwise defined herein.
AGREEMENT:
     NOW, THEREFORE, in consideration of the premises and the mutual covenants herein contained and other good and valuable consideration, the receipt and sufficiency of which is hereby acknowledged, the parties hereby amend the Lease on the terms hereof effective as of the date hereof, notwithstanding anything to the contrary contained therein:
     1. Expansion of Warehouse Premises.
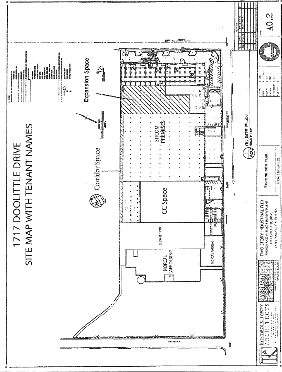
          (a) The increment of space in the Warehouse located at 2250 Williams Street, San Leandro, California which is adjacent to the existing Warehouse Premises and which is labeled “Expansion Space” on the attached Exhibit 2, consisting of approximately 45,000 rentable square feet, shall be defined and referred to herein as the “Expansion Space” and shall be added to the Premises covered by the Lease on the terms and conditions set forth herein. Landlord and Tenant agree that for the purpose of the Lease, as amended by this Second Amendment, the Expansion Space shall be conclusively deemed to contain 46,250 square feet.
          (b) As used herein, the “Expansion Commencement Date” shall mean the date on which Landlord tenders possession of the Expansion Space to Tenant following the vacating of the Expansion Space by the existing tenant, Portfolio Productions, Inc., a California corporation, dba Sitcom (“Sitcom”) and otherwise in the condition required by this Second Amendment. Landlord estimates that the Expansion Commencement Date will occur on August 1, 2009 (the “Estimated Expansion Date”); provided, however, that if Landlord is unable to

1


 

tender possession of the Expansion Space to Tenant in the condition required by Section l(d) of this Second Amendment by the Estimated Expansion Date, then: (i) the validity of this Second Amendment shall not be affected or impaired thereby; (ii) Landlord shall not be in default hereunder or be liable for damages therefor; and (iii) Tenant shall accept possession of the Expansion Space on the date when Landlord tenders possession thereof to Tenant in the condition required by Section l(d) of this Second Amendment. The term of the lease of the Expansion Space shall begin on the Expansion Commencement Date and shall be coterminous with the Term as defined in Sections 1 and 3.02 of the Lease (i.e. ten (10) years from the Commencement Date, as that term is defined in the Lease and amended by Section 7 below of this Second Amendment).
          (c) As of the Expansion Commencement Date, the definition of “Warehouse Premises” in the Defined Terms of the Lease shall be modified to provide that the “Warehouse Premises” contains a total of 63,750 rentable square feet consisting of the 17,500 rentable square feet in the originally demised Warehouse Premises (referred to in this Second Amendment as the “Original Warehouse Premises”) and the Expansion Space consisting of 46,250 rentable square feet; provided, however, that in the event the Expansion Commencement Date should occur earlier than the Commencement Date for the rest of the Premises, then the term “Warehouse Premises” as used in the Lease as amended by this Second Amendment shall apply to the Expansion Space only prior to the occurrence of the Commencement Date. The Expansion Space shall remain a portion of the “Warehouse Premises” throughout the Term of the Lease (including any exercised Renewal Terms).
          (d) Tenant shall accept the Expansion Space in its “AS IS” state and condition and Landlord shall have no obligation to make or pay for any improvements or renovations in or to the Expansion Space or to otherwise prepare the Expansion Space for Tenant’s occupancy except that Landlord shall, at Landlord’s sole cost and expense, prior to the Expansion Commencement Date, remove Sitcom’s racks from the Expansion Space and repair any damage caused by the rack removal or the vacating of the Expansion Space by Sitcom.
     2. Demising Wall; Alterations; Restoration; Letter of Credit; Permits.
          (a) All costs associated with the improvement and alteration of the Expansion Space (collectively, the “Expansion Space Alterations”) shall be borne solely by Tenant. Such Expansion Space Alterations expressly include (i) the installation of a demising wall (the “Demising Wall”) to separate the Expansion Space from the remainder of the Warehouse that will remain occupied by Sitcom (the “Sitcom Remainder Space”) and (ii) any required seismic upgrades of the Warehouse (the “Seismic Upgrade Work”). All Expansion Space Alterations shall be performed in compliance with the terms of Sections 8.02 and 7.05 of the Lease.
          (b) Tenant shall engage Engineered Construction Services Corporation (“ECS”) as the construction manager for the Expansion Space Alterations, including without limitation the construction of the Demising Wall. Tenant shall obtain an estimate of ECS’s fees for the construction management services to be provided in conjunction with the Expansion Space Alterations, following which Tenant shall contract directly with ECS for such work.

2


 

          (c) The Demising Wall shall be erected between the Expansion Space and the Sitcom Remainder Space with minimal disruption to Sitcom’s use of and access to its premises, including minimizing all dust and noise impacting the Sitcom Remainder Space. Further, Tenant shall provide appropriate security for Sitcom’s warehouse inventory located in the Sitcom Remainder Space throughout the process of construction of the Demising Wall. Provided that Tenant manages the process of construction of the Demising Wall in a commercially reasonable manner, Tenant shall not be liable to Sitcom or otherwise for payment of any claims asserted by Sitcom for business interruption resulting from performance of any of the Expansion Space Alterations, including the Demising Wall construction and the Seismic Upgrade Work.
          (d) Landlord acknowledges and agrees that Tenant shall be permitted to perform, subject to compliance with Sections 8.02 and 7.05 of the Lease, the following alterations to the Expansion Space as part of the Expansion Space Alterations:
               (i) increase the roof height of the Warehouse in a partial section over an area of the Expansion Space that will house a large spray dryer;
               (ii) dig an open trench pit for an iso-static press;
               (iii) dig an approximately 150-foot trench, approximately 12-20 inches deep, for a kiln transfer car system;
               (iv) build a heat-resistant room for kiln exhaust equipment;
               (v) modify the roof structure to accommodate HVAC systems;
               (vi) add additional gas capacity up to 36 million BTU per hour;
               (vii) upgrade the electrical system to accommodate multiple pieces of machinery;
               (viii) install a dust collection system;
               (ix) add a water tank/berm system (transferred to the Expansion Space from phase 1 construction in the original Warehouse Premises);
               (x) modify the plumbing system as required;
               (xi) perform concrete floor work as required;
               (xii) add bathroom and office space as needed to accommodate staff needs; and
               (xiii) perform such other work as may be required to adapt the Expansion Space to Tenant’s industrial needs.
          (e) Consistent with the terms of Section 8.02 of the Lease, Tenant shall be obligated to restore the Expansion Space to its original condition existing prior to performance of

3


 

the Expansion Space Alterations, including removal of the concrete block portion of the Demising Wall; provided, however, that Tenant’s obligations under Section 8.02 with respect to the Expansion Space expressly exclude the obligations (i) to return the roof to its original height, (ii) to remove or undo any Seismic Upgrade Work and (iii) to remove the parking corridor (as set forth in Section 10.06) along the north wall (as shown on the attached Exhibit 2). Notwithstanding the foregoing, Landlord shall have the option, by not less than twelve (12) months’ notice to Tenant, to authorize Tenant to leave some or all of the Expansion Space Alterations in place upon surrender of the Expansion Space at the end of the Term.
          (f) If, upon the date that is twelve (12) months before the expiration of the Term, Tenant’s cash assets on hand as reported by its most recent Form 10Q, is less than Three Million Dollars ($3,000,000) or upon an uncured material financial default by Tenant (including without limitation Tenant’s failure to pay rent when due following receipt of any applicable notice required by the Lease), Landlord shall require Tenant to deliver to Landlord an irrevocable standby letter of credit in an amount equal to $250,000.00 (the “Letter of Credit”) to secure Tenant’s obligations to restore the Premises as required by Section 8.02 of the Lease and the foregoing Section 2(e) of this Second Amendment, which Letter of Credit shall (1) be addressed to Landlord, (2) be in a form reasonably satisfactory to Landlord (3) be issued by a federally insured financial institution with minimum assets of Ten Billion Dollars ($10,000,000,000.00) (the “Minimum Assets”), upon which presentment may be made in a local office of the financial institution, (4) allow for partial and multiple draws thereunder, and (5) have an expiration date not earlier than thirty (30) days after the scheduled Term expiration date (as the same may be extended) or in the alternative, have a term of not less than one (1) year. In addition, the Letter of Credit shall provide that, in the event of Landlord’s assignment of its interest in the Lease, the Letter of Credit shall be freely transferable by Landlord to the assignee without charge to Landlord or approval of the issuer. The Letter of Credit shall provide for same day or next business day payment to Landlord upon the issuer’s receipt of a sight draft from Landlord together with Landlord’s certificate signed by two officers or managers certifying that the requested sum is due and payable from Tenant and Tenant has failed to pay, and with no other conditions.
          The Letter of Credit shall be replaced by a new Letter of Credit if the issuing financial institution: (i) has assets which fall below the Minimum Assets; (ii) enters into any form of regulatory or governmental proceeding, including without limitation any receivership instituted or commenced by the Federal Deposit Insurance Corporation (the “FDIC”); (iii) is otherwise declared insolvent, is downgraded by the FDIC, is determined to be less than well capitalized by the appropriate Federal banking agency under the prompt corrective action rules of the FDIC, or closes for any reason; or (iv) in any manner communicates (including without limitation communications sent by or on behalf of the FDIC) its unwillingness to honor the terms of the Letter of Credit. If Tenant fails to deliver to Landlord the replacement Letter of Credit within fifty (50) days following Landlord’s written demand for same, Landlord shall be entitled to draw down the entire Letter of Credit and, until Tenant delivers to Landlord the replacement Letter of Credit as required by this paragraph, hold the drawn cash as a security deposit (which need not be segregated from Landlord’s other funds and which shall not accrue interest for Tenant’s benefit, in each case unless otherwise required by applicable law).

4


 

          In the event that Tenant is in default under the terms and provisions of the Lease with respect to Tenant’s restoration obligations, Landlord shall have the right, at any time after such default, without giving any further notice to Tenant: (1) to make a partial draw upon said Letter of Credit in an amount necessary to cure such default or (2) to draw down the entire amount of such Letter of Credit at such time, and any such amounts received by Landlord shall be held by Landlord (and need not be segregated or accrue interest unless otherwise required by applicable law) and shall be applied in accordance with the terms of the Lease as amended hereby in the same manner as a security deposit to cure Tenant’s default.
          To the extent that Landlord has not previously drawn upon the Letter of Credit, and to the extent that Tenant is not otherwise in default of its restoration obligations under the Lease as of the expiration date of the Lease, Landlord shall return the Letter of Credit to Tenant within thirty (30) days following the expiration of the Term of the Lease.
          (g) Tenant shall be solely responsible to obtain all construction permits for the Expansion Space Alterations and all use permits for Tenant’s operations in the Expansion Space as may be required by the City of San Leandro or any other governmental agency with jurisdiction over the Premises. Tenant’s submittal of its applications for any permits relating to the Expansion Space Alterations shall be completely separate from the permit applications submitted or to be submitted in conjunction with the phase I work being completed in the remainder of the Premises. In no event shall the achievement of “Substantial Completion” of the phase I improvement work in the remainder of the Premises or the determination of the Commencement Date for the Lease (including payment of Rent) be delayed in any manner by virtue of the design or construction of the Expansion Space Alterations.
     3. Permitted Uses. Tenant shall be permitted to use the Expansion Space for its business, including the design, manufacture and assembly of ceramic and other parts for its products, subject to the terms of the Lease as amended hereby.
     4. Base Rent. Section 1.01 item 12 of the Lease is hereby deleted and replaced with the following:
“12. Base Rent: $0.75 per rentable square foot per month for the Building; $0.50 per rentable square foot per month for the Original Warehouse Premises; and $0.428 per rentable square foot for the Expansion Space.”
     5. Rent Escalations. Section 1.01 item 14 of the Lease is hereby deleted and replaced with the following:
“14. Rent Escalations: The Base Rent for the Building and the Original Warehouse Premises shall increase by 2.5% upon each anniversary of the Commencement Date (as defined in Section 3.01); and the Base Rent for the Expansion Space shall increase by 2.5% upon each anniversary of the Expansion Commencement Date (as defined in the Second Amendment to the Lease).”
     6. Modification of Tenant’s Proportionate Share. Effective as of the Commencement Date, Tenant’s Share of Warehouse Tax Expenses, Tenant’s Share of

5


 

Warehouse Insurance Expenses and Tenant’s Share of Warehouse Operating Expenses as earlier set forth in Section 1.01 of the Lease, items 17a, 19a, and 22, respectively, shall be 28.57%.
     7. Term. Section 3.01 of the Lease is deleted in its entirety and replaced with the following:
“3.01 Commencement Date. The Term shall commence on the later to occur of the following dates (the “Commencement Date”): (i) the date of Substantial Completion (as defined in Exhibit D) of the Building and the Original Warehouse Premises (i.e. the Premises excluding the Expansion Space), or (ii) the Scheduled Commencement Date. Notwithstanding the foregoing, if the date of Substantial Completion of the Premises, excluding the Expansion Space, should occur after December 1, 2009 through no fault or delay of Landlord, the Commencement Date will be deemed to be December 1, 2009.”
     8. Base Rent. The first sentence of Section 4.01 of the Lease is hereby deleted and replaced with the following:
“The Base Rent for each of the Building, the Original Warehouse Premises, and the Expansion Space shall be as set forth in Section 1.01 and as confirmed in the Commencement Date Memorandum signed by the parties. Effective as of the Expansion Commencement Date, Tenant shall pay Base Rent for the Expansion Space ($0.428 per rentable square foot per month, i.e. $19,795.000 per month). Effective as of the Commencement Date, as that term is amended in the Second Amendment to the Lease, Tenant shall pay Base Rent for the Building and the Original Warehouse Premises. If the City of San Leandro authorizes Tenant to occupy the First Floor of the Building prior to Substantial Completion of the remainder of the Building, Tenant shall pay Base Rent for the square footage in the First Floor of the Building upon occupancy thereof and Base Rent for the square footage in the Second Floor of the Building upon the Commencement Date. Notwithstanding any early occupancy of the First Floor, the Term for both the First Floor and Second Floor of the Building shall be coterminous, i.e., ten (10) years from the Commencement Date.”
     9. Section 11.03. The first three sentences of Section 11.03 of the Lease are hereby deleted and replaced with the following:
“11.03. Option to Terminate, (i) If the Building is damaged or destroyed to the extent that Landlord determines in good faith that the Building cannot, with reasonable diligence, be fully repaired or restored by Landlord within two hundred seventy (270) days after the date of the damage or destruction, notwithstanding the fact that the Expansion Space and/or the Original Warehouse Premises has not been totally damaged or destroyed, the sole right of both Landlord and Tenant shall be the option to terminate this Lease, (ii) If the Expansion Space or the Original Warehouse Premises is damaged or destroyed to the extent that Landlord determines in good faith that such space cannot, with reasonable diligence, be fully repaired or restored by Landlord within two

6


 

hundred ten (210) days after the date of the damage or destruction, notwithstanding the fact that the Building has not been totally damaged or destroyed, the sole right of Landlord shall be the option to terminate this Lease with respect to the Expansion Space and/or the Original Warehouse Premises (as applicable) only.”
     10. Section 11.04. The first three sentences of Section 11.04 of the Lease are hereby deleted and replaced with the following new sentences:
“11.04. Option to Terminate for Uninsured Casualty. In the event the Building is damaged or destroyed and is not fully covered by the insurance proceeds received by Landlord under the insurance policies required under Section 6.02, Landlord may terminate this Lease by written notice to Tenant given within thirty (30) days after the date of Landlord’s receipt of written notice from Landlord’s insurance company that said damage or destruction is not so covered. In the event the Expansion Space and/or the Original Warehouse Premises is damaged or destroyed and is not fully covered by the insurance proceeds received by Landlord under the insurance policies required under Section 6.02, Landlord may terminate this Lease with respect to the Expansion Space and/or the Original Warehouse Premises only by written notice to Tenant given within thirty (30) days after the date of Landlord’s receipt of written notice from Landlord’s insurance company that said damage or destruction is not so covered. If Landlord does not elect to terminate this Lease, this Lease shall remain in full force and effect, and the Building and/or the Expansion Space and/or the Original Warehouse Premises (as applicable) shall be repaired and rebuilt in accordance with the provisions for repair set forth in Section 11.01. If this Lease is terminated pursuant to this Section 11.04 with respect to the Original Warehouse Premises only, or the Expansion Space only, then after the date of such termination the Base Rent shall be reduced accordingly.”
     11. Section 12.02. Section 12.02 of the Lease is hereby deleted in its entirety and replaced with the following:
“12.02. Partial Condemnation. If any portion of the Premises is Condemned, and such partial condemnation renders the Premises unusable for Tenant’s business, or if a substantial portion of the Building or the Expansion Space is Condemned, as reasonably determined by Landlord, this Lease shall terminate as of the date of title vesting in such proceeding and rent shall be adjusted to the date of termination. If such partial condemnation does not render the Premises unusable for the business of Tenant or less than a substantial portion of the Building or the Expansion Space is Condemned, Landlord shall promptly restore the Premises to the extent of any condemnation proceeds recovered by Landlord, less the portion thereof lost in such condemnation, and this Lease shall continue in full force and effect except that after the date of such title vesting, the Base Rent, Tenant’s Share of Warehouse Tax Expenses, Tenant’s Share of Warehouse Insurance Expenses, and Tenant’s Share of Warehouse Operating Expenses shall be adjusted as reasonably determined by Landlord. Tenant hereby waives the

7


 

provisions of California Code of Civil Procedure Section 1265.130 permitting a court of law to terminate this Lease.”
     12. Section 16.12. Section 16.12 of the Lease is hereby deleted in its entirety and replaced with the following:
“16.12 Surrender. Upon the expiration or earlier termination of this Lease, Tenant shall surrender the Premises to Landlord in the same condition as existed on the date Tenant originally took possession thereof, reasonable wear and tear excepted. Tenant shall not commit or allow any waste or damage to be committed on any portion of the Premises or the Property. All property that Tenant is required to surrender shall become Landlord’s property upon the termination of this Lease. If Tenant fails to timely remove its personal property from the Premises, Landlord may keep and use them or remove any of them and cause them to be stored or sold in accordance with applicable law, all at Tenant’s sole cost and expense. All keys to the Premises or any part thereof shall be surrendered to Landlord upon expiration or sooner termination of the Term. Tenant shall give written notice to Landlord at least thirty (30) days prior to vacating the Premises and shall meet with Landlord for a joint inspection of the Premises at the time of vacating, but nothing contained herein shall be construed as an extension of the Term or as a consent by Landlord to any holding over by Tenant. In the event of Tenant’s failure to give such notice or participate in such joint inspection, Landlord’s inspection at or after Tenant’s vacating the Premises shall conclusively be deemed correct for purposes of determining Tenant’s responsibility for repairs and restoration. Notwithstanding anything to the contrary herein, as part of Tenant’s surrender obligations, Tenant shall return the service corridor in the same condition as of the date hereof (including if applicable, restoration of the wall separating the Building from the Warehouse and installation of a carbon monoxide ventilation system equivalent to the one located in the Building as of the date hereof), except that Tenant shall not be required to relocate and or reinstall any rollup doors.)
     13. Commencement Date Memorandum. Exhibit C to the Lease is hereby deleted and replaced with the amended Commencement Date Memorandum attached hereto as Exhibit 3.
     14. Exhibit D. Paragraph 2 of Exhibit D Work Letter of the Lease is hereby deleted and replaced with the following:
“2. Landlord’s Work. Landlord at its expense shall perform the following work in the Premises (collectively, the “Landlord’s Work”): (a) remove any tiles in the Building’s stairwell that contain asbestos and that are identified by Tenant prior to the Commencement Date; (b) level the floor slabs in the area identified on Schedule 1 attached hereto between column lines N2-N5 and P2-P5; (c) replace the staircase railings and restore adjacent walls; (d) replace the non-conforming staircase in the front lobby to conform to Tenant design specifications, with the understanding that Tenant will reimburse Landlord on demand for 50% of these replacement costs; (e) remove all asbestos tiles from the north exit corridor of the

8


 

Building; (f) transfer telephone switching equipment for tenants other than Tenant to a location outside of the Premises; and (g) provide community access to main electrical switch.”
     15. Parking. The first sentence of Section 10.06, as amended by the First Amendment, is hereby deleted and replaced with the following:
“Any monetary obligations imposed by the City of Leandro or other governmental entity relative to parking rights with respect to the Premises shall be considered as Tax Expenses and shall be paid by Tenant under Section 5 of the Lease.”
     16. Brokers. Landlord and Tenant each warrants that it has had no dealings with any broker or agent in connection with the negotiation or execution of this Second Amendment other than Don Jones Companies (representing Tenant), whose commission shall be paid by Landlord pursuant to a separate agreement. Landlord and Tenant each agree to indemnify, defend and hold the other harmless from and against any claims by any other broker, agent or other person claiming a commission or other form of compensation by virtue of having dealt with such party with regard to this leasing transaction.
     17. Ratification. Except as modified by this Second Amendment, the Lease and all the terms, covenants, conditions and agreements thereof are hereby in all respects ratified, confirmed and approved.
     18. Full Force and Effect. This Second Amendment contains the entire understanding between the parties with respect to the matters contained herein. Except as modified by this Second Amendment, the Lease shall remain unchanged and shall continue in full force and effect. No representations, warranties, covenants or agreements have been made concerning or affecting the subject matter of this Second Amendment, except as are expressly contained herein and in the Lease. This Second Amendment may not be changed orally, but only by an agreement in writing signed by the party against whom enforcement of any waiver, change or modification or discharge is sought.
     19. Counterparts; Facsimile Transmission. This Second Amendment may be executed in any number of identical counterparts each of which shall be deemed to be an original and all, when taken together, shall constitute one and the same instrument. A facsimile or similar transmission of a counterpart signed by a party hereto shall be regarded as signed by such party for purposes hereof.
     20. Condition Precedent. This Second Amendment is expressly conditioned upon (i) receipt of approval from Landlord’s lender, which Landlord shall promptly seek and (ii) termination of Sitcom’s lease with respect to the Expansion Space (and relocation of a portion of their premises to another portion of the Warehouse) on such terms and conditions as shall be determined by Landlord in its sole discretion. Landlord shall advise Tenant if and when the foregoing conditions precedent have been met, provided that if Landlord has not notified Tenant by close of business on July 15, 2009 that these condition have been met, then this Second

9


 

Amendment shall be null and void and of no force or effect, and the Lease shall continue as written unaffected by the terms of this Second Amendment.
     IN WITNESS WHEREOF, Landlord and Tenant have executed and delivered this Second Amendment as of the date and year first above written.
                     
    LANDLORD:       DOOLITTLE WILLIAMS, LLC,    
            a California limited liability company    
 
                   
 
          By:
Name:
  /s/ Terrence McGrath
 
Terrence M. McGrath
   
 
          Title:   Managing Member    
 
          Date:   June 26, 2009    
 
    TENANT:       ENERGY RECOVERY, INC.,    
            a Delaware corporation    
 
                   
 
          By:
Name:
  /s/ Terril Sandlin
 
Terrill L. Sandlin
   
 
          Title:   VP of Manufacturing    
 
          Date:   June 26, 2009    
 
                   
 
          By:
Name:
  /s/ Tom Willardson
 
Thomas Willardson
   
 
          Title:   Chief Financial Officer    
 
          Date:   June 29, 2009    

10


 

EXHIBIT 2
EXPANSION SPACE
(EXPANSION SPACE GRAPHICS)
Exhibit 2

 


 

EXHIBIT 3
COMMENCEMENT DATE MEMORANDUM
                    , 20___
                                        
                                        
                                        
                                        
  Re:   1717 Doolittle Drive / 2250 Williams Street Modified Industrial Gross Lease dated as of November 21, 2008, as amended by First Amendment to Modified Industrial Gross Lease dated as of May 28, 2009 and by Second Amendment to Modified Industrial Gross Lease dated as of June 25, 2009 (collectively, the “Lease”) between DOOLITTLE WILLIAMS, LLC, a California limited liability company (“Landlord”), and ENERGY RECOVERY, INC., a Delaware corporation (“Tenant”). Capitalized terms used herein but not defined shall be given the meanings assigned to them in the Lease.
Ladies and Gentlemen:
     1. Condition of Premises. Tenant has accepted possession of the Premises pursuant to the Lease. Any improvements required by the terms of the Lease to be made by Landlord have been completed to the full and complete satisfaction of Tenant in all respects except for the punchlist items (if any) described on Schedule I hereto (the “Punchlist Items”), and except for such Punchlist Items (if any), Landlord has fulfilled all of its duties under the Lease with respect to such initial improvements. Furthermore, Tenant acknowledges that the Premises are suitable for the Permitted Uses.
     2. Commencement Date. The Commencement Date of the Lease is                    , 2009.
     3. Expansion Commencement Date. The Expansion Commencement Date for the Expansion Space is                     , 2009.
     4. Expiration Date. The Term is scheduled to expire on                    , 20___.
     5. Premises. The Building contains 106,250 rentable square feet. The Warehouse Premises contain 63,750 rentable square feet consisting of (i) the 17,500 rentable square foot Original Warehouse Premises and (ii) the 46,250 rentable square foot Expansion Space. Landlord and Tenant stipulate that the square footage measurements set forth in the preceding sentence are conclusive as to the square footage of the Building and the Warehouse Premises for purposes of determining Base Rent and shall be binding upon them.
     6. Base Rent, (i) Base Rent for the Building and the Original Warehouse Premises shall be the following amounts for the following periods of time:
     
Lease Year   Monthly Base Rent
1   $  88,438.00
2   $  90,648.00
3   $  92,915.00
4   $  95,238.00
5   $  97,618.00
6   $100,059.00
7   $102,560.00

 


 

     
Lease Year   Monthly Base Rent
8   $105,124.00
9   $107,753.00
10   $110,446.00
          (ii) Base Rent for the Expansion Space shall be the following amounts for the following periods of time:
     
Lease Year   Monthly Base Rent
1   $19,795.00,
2   $20,290.00
3   $20,797.00
4   $21,317.00
5   $21,850.00
6   $22,396.00
7   $22,956.00
8   $23,530.00
9   $24,118.00
10   $24,721.00
     7. Contact Person. Tenant’s contact person in the Premises is:
Attention:
Telephone:
Facsimile:
Email:
     8. Ratification. Tenant hereby ratifies and confirms its obligations under the Lease, and represents and warrants to Landlord that it has no defenses thereto. Additionally, Tenant further confirms and ratifies that, as of the date hereof, (a) the Lease is and remains in good standing and in full force and effect, and (b) Tenant has no claims, counterclaims, set-offs or defenses against Landlord arising out of the Lease or in any way relating thereto or arising out of any other transaction between Landlord and Tenant.
     9. Binding Effect; Governing Law. Except as modified hereby, the Lease shall remain in full effect and this Commencement Date Memorandum shall be binding upon Landlord and Tenant and their respective successors and assigns. If any inconsistency exists or arises between the terms of this Commencement Date Memorandum and the terms of the Lease, the terms of this Commencement Date Memorandum shall prevail. This Commencement Date Memorandum shall be governed by the laws of the State of California.

 


 

     Please indicate your agreement to the above matters by signing this letter in the space indicated below and returning an executed original to us.
Sincerely,
DOOLITTLE WILLIAMS, LLC,
a California limited liability company,
By:
Name:
Title:
Agreed and accepted:
ENERGY RECOVERY, INC.,
a Delaware corporation
By:
Name:
Title:

 


 

SCHEDULE 1
PUNCHLIST ITEMS